NEGOZIO E CANTINATO CENTRALISSIMI

€ 290.000

Codice riferimento: /2023/DM

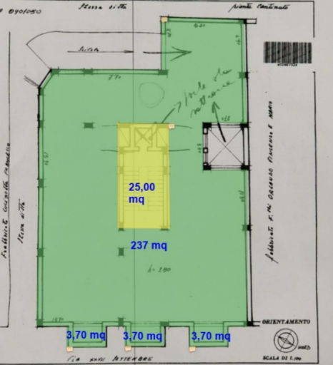
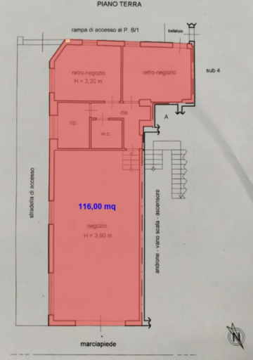
VENDE A CAPO D'ORLANDO VIA XXVII SETTEMBRE, NEGOZIO COMPOSTO DA GRANDE VANO FRONTESTRADA, DUE VANI, W.C. RIP. DISIMPEGNO con una superficie commerciale di 116 mq, 87 catastali, con annesso cantinato di circa 235 mq commerciali 248 catastali classe energetica "D" EPgl, nren 129,50 kWh/mq anno. è inotre disponibile retrostante il fabbricato un piccolo terreno edificabile di 180 mq in zona B con cubatura di cira 530 metri cubi, accessibile con piccole auto, al prezzo trattabile di 50.000,00 euro

Caratteristiche
Numero servizi uno
Superificie Negozio 116 mq commerciali
Superficie Deposito 235 mq commerciali 248 catastali
Superficie Catastale 87
Classe Energetica D
Comune Capo d'Orlando
Tipologia Immobile Locale Commerciale
Numero Vani 4

Contattaci per telefono
Chiama il numero
0941 91 11 65

Contattaci via email

Utilizziamo cookie al fine di migliorare la tua esperienza di navigazione sul nostro sito.
Maggiori informazioni